To provide an effective voice for the people of the City of Belmont"

Belmont Resident and Ratepayer Action Group Inc.

Home About Newsletters Our Letters Local Planning Local Gov't Contact


              Copyright © 2019 BRRAG All Rights reserved.



Different areas within the City of Belmont have been put aside as areas where development is likely to occur in coming years.  All are in different stages of planning.



Redcliffe Station Precinct

DA11

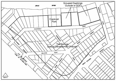
       The Sprungs         

  

             


—- Location Map


DA6

—-Location Map

—-Location Map

DA3

Kew St & Dod Reserve

—-Location Map

DA4

        Ryan’s Court

—-Location Map

DA5

   Morrison & Stanton

—-Location Map

          DA7

        


                   

Golden Gateway Structure Plan

DA10